DÜNYA
okuma süresi: 2 dak.

Küba’da Melissa Kasırgası nedeniyle 735 binden fazla kişi tahliye edildi

Küba’da Melissa Kasırgası nedeniyle 735 binden fazla kişi tahliye edildi

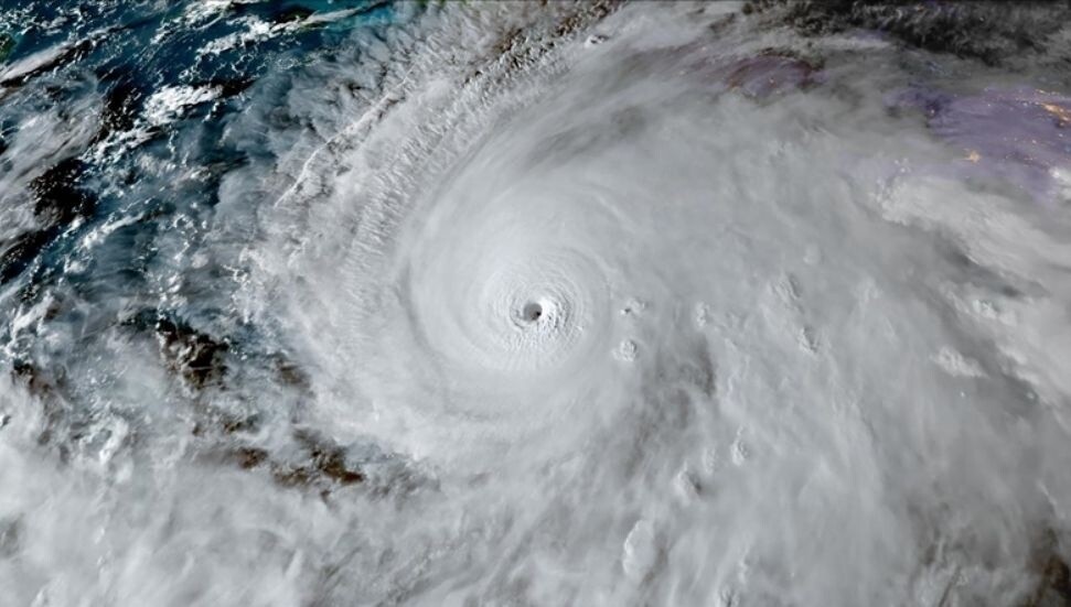
Küba Devlet Başkanı Miguel Diaz Canel, 3. kategoriye ulaşan Melissa Kasırgası nedeniyle 100 binlerce kişinin güvenli bölgelere taşındığını açıkladı; ABD Ulusal Kasırga Merkezi kasırganın yıkıcı etkilerine karşı uyarıda bulundu.

Yayın Tarihi: 29/10/25 14:20
okuma süresi: 2 dak.
Küba’da Melissa Kasırgası nedeniyle 735 binden fazla kişi tahliye edildi

Küba Devlet Başkanı Miguel Diaz Canel, Melissa Kasırgası dolayısıyla ülkede 735 binden fazla kişinin tahliye edildiğini belirtti.

Canel, ABD merkezli X şirketinin sosyal medya platformundan kasırgaya ilişkin paylaşımda bulundu.

Melissa Kasırgası nedeniyle ülkede 735 binden fazla kişinin tahliye edildiğini bildiren Canel, "Tüm Küba için çok zor bir gece olacak ancak atlatacağız." ifadesini kullandı.

Öte yandan, ABD Ulusal Kasırga Merkezinden (NHC) yapılan açıklamada, kasırganın "3. Kategori" seviyesinde, Küba'nın güneydoğu kıyılarına ulaştığı aktarıldı.

NHC'den 27 Ekim'de yapılan açıklamada, hızı saatte 260 kilometreye kadar çıkan kasırganın şiddetinin, en tehlikeli seviye anlamına gelen "5. Kategori"ye yükseldiği belirtilmişti.

Jamaika'nın başkenti Kingston'un 205 kilometre güneybatı açıklarında seyrettiği ve batı istikametinde ilerlediği aktarılan kasırganın, Jamaika'da ve Küba'nın güneydoğusunda karaya vurmasının öngörüldüğü ifade edilmişti.

Açıklamada, Melissa Kasırgası'nın ilerleyen günlerde Jamaika ve Küba'da "yıkıcı" fırtına koşullarına, Karayipler bölgesinin diğer yerlerinde de şiddetli yağışlara, sel baskınlarına ve heyelanlara yol açabileceği kaydedilmişti.

#mesajınızvar
Levent ÖZADAM'dan
#mesajınızvar
Gözden Kaçmadı
#gozdenkacmadi

En güncel gelişmelerden hemen haberdar olmak için

Yorumlar

Dikkat!
Suç teşkil edecek, yasadışı, tehditkar, rahatsız edici, hakaret ve küfür içeren, aşağılayıcı, küçük düşürücü, kaba, müstehcen, ahlaka aykırı, kişilik haklarına zarar verici ya da benzeri niteliklerde içeriklerden doğan her türlü mali, hukuki, cezai, idari sorumluluk içeriği gönderen Üye/Üyeler’e aittir.